Jamajku zasiahne hurikán storočia. Takýto silný hurikán tu ešte nebol

Peter Minárik

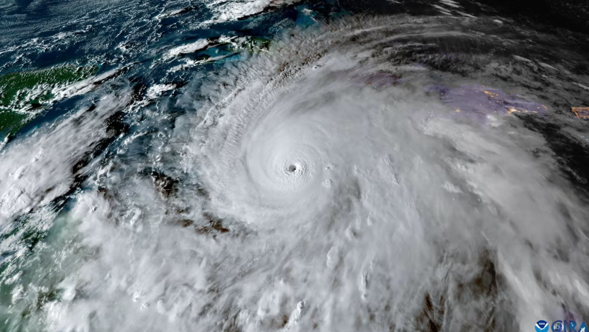
Svetová meteorologická organizácia (WMO) uviedla, že očakáva „katastrofickú“ situáciu na Jamajke, keďže hurikán Melissa zasiahne pevninu ako najhoršia búrka, aká tento karibský ostrov v tomto storočí zasiahla.

 

„Pre Jamajku to bude určite búrka storočia,“ povedala v utorok na tlačovej konferencii Anne-Claire Fontan, špecialistka WMO na tropické cyklóny, informovala agentúra Reuters. „Na Jamajke sa očakáva katastrofálna situácia.“

Predpoveď počasia
Viac
Dnes
Dážď
12 °C / 0 °C
Klaudia
Zajtra
Skoro jasno
7 °C / -6 °C
Eugen
Streda
Skoro jasno
5 °C / -12 °C
Alžbeta
Štvrtok
Polooblačno
10 °C / -8 °C
Félix
Piatok
Dážď
10 °C / 2 °C
Elvíra
Sobota
Dážď so snehom
9 °C / 0 °C
Cecília
Stiahnite si našu novú aplikáciu o počasí Stiahnuť Pošlite nám svoje fotografie Napíšte nám na Whatsappe
Reklama MediaAd