K Európe sa rúti hurikán: Zvyšky dorazia počas víkendu

K Európe sa rúti hurikán: Zvyšky dorazia počas víkendu
Ema Bazhaykin

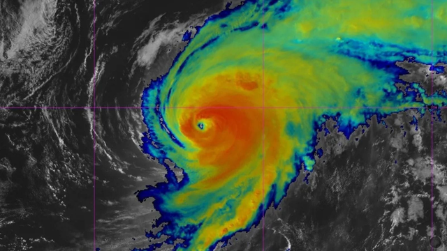
Hurikán Gabrielle už onedlho zasiahne Azorské ostrovy, kde sa úrady chystajú na najhoršie.

Úrady na Azorských ostrovoch vydali červený stav pohotovosti v dôsledku očakávaného dopadu hurikánu Gabrielle na pobrežie. Od dnešného popoludnia na 24 hodín zatvorili školy a verejné úrady. 

 

Toto opatrenie sa týka siedmich z deviatich ostrovov súostrovia vrátane tých hlavných, ako je São Miguel a hlavné mesto Ponta Delgada.

Hurikán zasiahne predovšetkým ostrovy západnej a centrálnej skupiny, kde sa mnohé miestne samosprávy rozhodli uzavrieť cesty a verejné priestranstvá a vyzvali obyvateľov, aby podľa možnosti zostali doma.

Ostrovy Flores a Corvo budú najviac zasiahnuté zrážkami, zatiaľ čo vo zvyšku súostrovia by vietor mohol dosiahnuť maximálnu rýchlosť 150 km/h.

Okrem silných nárazov vetra a prívalových zrážok spôsobí hurikán Gabrielle aj veľmi vysoké vlny. Podľa niektorých modelov by mohla maximálna výška vĺn dosiahnuť až okolo 15 m. Následne sa hurikán Gabrielle dostane nad oveľa chladnejšie vody a bude slabnúť. 

Zvyšky hurikánu zasiahnu Európu počas víkendu

S priblížením sa k Azorským ostrovom by hurikán mohol stratiť na sile a na súostrovie zasiahnuť ako hurikán 1. kategórie alebo tropická búrka, informuje český meteorologický portál In-počasí.

V priebehu víkendu potom už ako mimotropická tlaková níž zasiahne západné pobrežie Portugalska, ale už v oveľa slabšej forme.

Predpoveď postupu hurikánu Gabrielle
Predpoveď postupu hurikánu Gabrielle, zdroj: Zoom Earth

Ak sa pozrieme na históriu búrky, tak hurikánom sa Gabrielle stal 19. septembra, pričom v nasledujúcich dňoch zosilnel na hurikán 4. kategórie s rýchlosťami vetra až 220 km/h.

 
 

 

Po dosiahnutí tohto vrcholu začal Gabrielle postupne slabnúť a 23. septembra sa stal hurikánom 3. kategórie.

Aktuálne k 25. septembru sa hurikán nachádza približne 700 km západne od Azorských ostrovov a ostrovy by mal zasiahnuť dnes v noci (zo štvrtka na piatok) ako už spomínaný hurikán 1. kategórie.

Predpoveď počasia
Viac
Dnes
Jasno
18 °C / 0 °C
Františka
Zajtra
Skoro jasno
18 °C / 1 °C
Branislav
Streda
Jasno
19 °C / 0 °C
Angela
Štvrtok
Skoro jasno, búrky
17 °C / 1 °C
Gregor
Piatok
Skoro jasno, prehánky
17 °C / 1 °C
Vlastimil
Sobota
Skoro jasno
17 °C / 0 °C
Matilda
Stiahnite si našu novú aplikáciu o počasí Stiahnuť Pošlite nám svoje fotografie Napíšte nám na Whatsappe
Reklama MediaAd