Monštrum v Pacifiku: Supertajfún Sinlaku predstavuje smrteľné nebezpečenstvo a mieri k územiu USA

Monštrum v Pacifiku: Supertajfún Sinlaku predstavuje smrteľné nebezpečenstvo a mieri k územiu USA

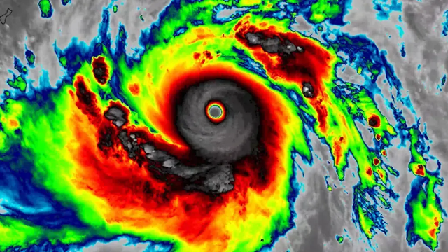
Rok 2026 spoznal svoju doteraz najničivejšiu tropickú cyklónu. Supertajfún Sinlaku v západnom Pacifiku v priebehu pár dní nevídaným spôsobom zosilnel a aktuálne predstavuje smrteľné nebezpečenstvo.

Západný Pacifik sa stal dejiskom vzniku najsilnejšej tropickej cyklóny aktuálneho roka, ktorou je supertajfún Sinlaku. Hoci táto cyklóna začala nenápadne ako zhluk atmosférických porúch, nad nezvyčajne teplými vodami oceánu nabrala obrovskú silu a 9. apríla sa sformovala do rotujúceho monštra. 

Podľa najnovších údajov Japonského meteorologického úradu z dnešného dňa Sinlaku generuje extrémne nárazy vetra dosahujúce rýchlosť až 85 metrov za sekundu, čo je v prepočte neuveriteľných 306 km/h. Nárazy vetra v blízkosti stredu dosiahli až 350 km/h.

 

Extrémna sila superfajfúnu

Aktuálne sa tento supertajfún pohybuje smerom k americkým teritóriám, konkrétne k Severným Mariánskym ostrovom, pričom hrozí, že oblasť zasiahne ako ekvivalent hurikánu 4. alebo 5. kategórie.

Americká Národná meteorologická služba (NWS) vydala v pondelok varovanie, že časové okno na prípravy sa nezadržateľne zatvára a obyvatelia v ohrozených zónach by mali okamžite vyhľadať bezpečné úkryty alebo sa evakuovať.

 

Hoci sa predpokladá, že ostrov Guam priamy zásah oka cyklóny minie, celé súostrovie sa musí pripraviť na ničivý vietor, prívalové dažde, nebezpečné vlnobitie a bleskové povodne.

Sinlaku aktuálne prechádza cez tzv. „uličku tajfúnov“, kde mu rekordne teplé vody poskytujú dostatok energie na udržanie extrémnej intenzity počas tisícov kilometrov otvorenej hladiny.

Kým severný Pacifik bojuje so Sinlaku, južne od rovníka už úradoval iný živel – cyklón Maila, ktorý zasiahol Papuu Novú Guineu a Šalamúnove ostrovy. Táto tropická cyklóna si podľa prvých správ vyžiadala najmenej 11 obetí, najmä v dôsledku ničivých zosuvov pôdy a padajúcich stromov.

 

Meteorológovia zdôrazňujú, že Sinlaku predstavuje pre Mariánske ostrovy akútnu hrozbu pre životy, a preto dôrazne varujú verejnosť, aby počas prechodu supertajfúnu v žiadnom prípade nevychádzala von, pretože deštruktívny vietor bude mať v zasiahnutých oblastiach fatálne následky.

Predpoveď počasia
Viac
Dnes
Polooblačno
20 °C / 3 °C
Justína
Zajtra
Občasný dážď
22 °C / 4 °C
Fedor
Štvrtok
Oblačno
20 °C / 4 °C
Dana
Piatok
Skoro jasno
21 °C / 3 °C
Rudolf
Sobota
Jasno
19 °C / 3 °C
Valér
Nedeľa
Jasno
20 °C / 3 °C
Jela
Stiahnite si našu novú aplikáciu o počasí Stiahnuť Pošlite nám svoje fotografie Napíšte nám na Whatsappe
Reklama MediaAd