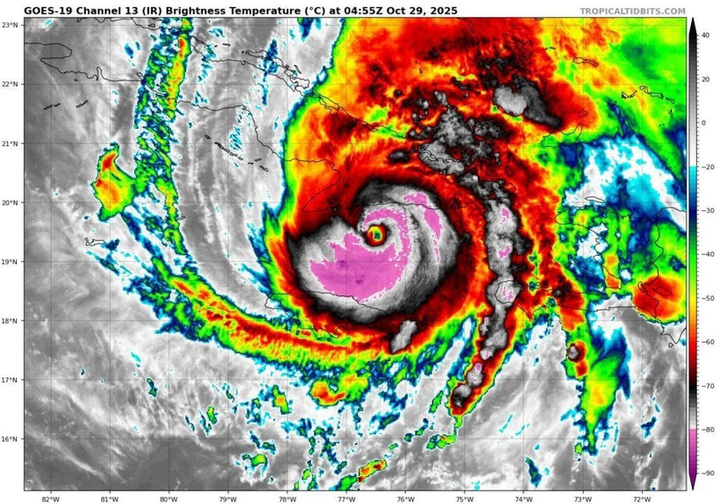
Na Kube prebieha masová evakuácia. Dopad hurikánu na krehkú Kubu bude zničujúci

Veronika Salayová

Karibský štát je v stave vysokej pohotovosti. Kubánske úrady spustili rozsiahlu evakuačnú operáciu, do ktorej je zapojených viac ako 700 000 ľudí, informovali oficiálne noviny Granma. Hlavným cieľom je ochrana ľudských životov, čo je priorita, ktorú zdôraznil prezident Miguel Díaz-Canel.

V televíznom prejave prezident ubezpečil, že „nikto nezostane pozadu a na ochranu životov obyvateľstva sa nešetria žiadne zdroje“, ale vydal aj prísne varovanie: Nepodceňujte silu Melissy, ktorá je označená za „najsilnejšiu, aká kedy zasiahla krajinu“.

Predpoveď počasia
Viac
Dnes
Skoro jasno
18 °C / 1 °C
Branislav
Zajtra
Jasno
19 °C / 0 °C
Angela
Štvrtok
Skoro jasno, búrky
17 °C / 1 °C
Gregor
Piatok
Skoro jasno, prehánky
17 °C / 1 °C
Vlastimil
Sobota
Skoro jasno
17 °C / 0 °C
Matilda
Nedeľa
Polooblačno
18 °C / 1 °C
Svetlana
Stiahnite si našu novú aplikáciu o počasí Stiahnuť Pošlite nám svoje fotografie Napíšte nám na Whatsappe
Reklama MediaAd