Odborníci stiahli Melissu zo zoznamu hurikánov, mala príliš ničivú silu

Odborníci stiahli Melissu zo zoznamu hurikánov, mala príliš ničivú silu
Ema Bazhaykin

Hurikán spôsobil príliš vážne škody, jeho meno už viac medzi atlantickými hurikánmi figurovať nebude.

Svetová meteorologická organizácia odstránila názov Melissa z oficiálneho zoznamu atlantických hurikánov. Toto rozhodnutie prišlo po tom, čo cyklón spôsobil vážne škody v dôsledku vetra presahujúceho 300 km/h, najmä na Jamajke počas jesene.

Samozrejme, zo zoznamu hurikánov ho len tak „nevymažú za zlé správanie“. Rekordy, ktorými sa zviditeľnil, zostanú navždy zapísané do histórie. Ide len o to, že na jeseň 2025 to bolo naposledy, čo pri tomto jave meteorológovia použili názov Melissa.

Svet už pozná mená hurikánov, ktoré sa Atlantikom a Tichomorím preženú v roku 2026 >>>

Názov bude nahradený menom Molly, pričom si zachová rovnakú iniciálu.

 

 

Melissa sa pridá k najničivejším hurikánom v histórii

Rozhodnutie o vyradení názvu z používania prichádza iba vtedy, keď cyklón mal obzvlášť vážne následky, ako je vysoký počet obetí, rozsiahle ničenie alebo taký silný dopad, že sa zapísal do kolektívnej pamäte postihnutých komunít.

Svetová meteorologická organizácia (WMO) rozhoduje o vyradení názvov z oficiálnych zoznamov, pričom každoročne skúma sezónu cyklónov a rozhoduje o tom, či by sa určité názvy mali z oficiálnych zoznamov odstrániť.

 
 

Dôvod nie je len technický, ale aj symbolický. Opätovné použitie názvu spojeného s veľkou katastrofou v budúcnosti by mohlo byť nevhodné alebo by mohlo spôsobiť zmätok vo verejnej komunikácii. Preto sa po vyradení názvu z používania nahradí iným s rovnakou iniciálou.

V priebehu rokov viedlo niekoľko veľmi ničivých hurikánov k vyradeniu ich mien. Medzi najznámejšie patria Katrina, Sandy a Maria, cyklóny, ktoré hlboko zasiahli postihnuté oblasti.

Zoznamy hurikánov s názvami sa v skutočnosti opätovne používajú každých šesť rokov. Z tohto dôvodu predstavuje vyradenie mena akúsi trvalú spomienku na udalosť. Toto meno sa už nikdy nebude spájať s iným hurikánom. S Melissiným odchodom sa zoznam hurikánov v Atlantiku opäť aktualizuje.

 

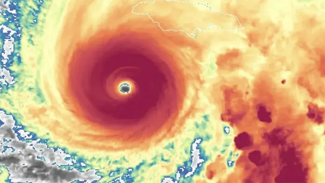
Hurikán Melissa zasiahol Jamajku extrémnou silou

Cez juhozápadnú Jamajku sa 28. októbra 2025 prehnal hurikán Melissa, ktorý zasiahol tento krehký ostrov ako ničivý hurikán 5. kategórie. Vietor s najvyššou rýchlosťou strhával strechy, prevracal stromy a spúšťal zosuvy pôdy.

Meteorológovia už vtedy označili Melissu za jeden z najsilnejších atlantických hurikánov v histórii a najsilnejší, ktorý sa prehnal Jamajkou.

Viacerá oblasti ostrova boli úplne zdevastované a neprichádzali odtiaľ žiadne správy. Celé mestá aj dediny skončili úplne pod vodou, nešla elektrina a všade zostala hotová spúšť. 

Premiér Andrew Holness priznal, že krajina nebola pripravená na takúto silu: „V regióne neexistuje infraštruktúra, ktorá by odolala hurikánu 5. kategórie.“ „Strechy odlietavali, dúfame, že sa situácia upokojí, aby sme sa dostali k obyvateľom,“ uviedol Desmond McKenzie z jamajskej Rady pre riadenie rizík katastrof.

Z tohto hurikánu sa Jamajčania spamätávajú dodnes, mnohí stále žijú v provizórnych príbytkoch a nedokážu nájsť financie na rekonštrukciu domov.

Predpoveď počasia
Viac
Dnes
Jasno
17 °C / -2 °C
Lea
Zajtra
Jasno
16 °C / -6 °C
Anastázia
Piatok
Skoro jasno
20 °C / -3 °C
Sviatok práce
Sobota
Jasno
23 °C / 0 °C
Žigmund
Nedeľa
Jasno
26 °C / 2 °C
Galina
Pondelok
Jasno
27 °C / 3 °C
Florián
Stiahnite si našu novú aplikáciu o počasí Stiahnuť Pošlite nám svoje fotografie Napíšte nám na Whatsappe
Reklama MediaAd