Toto bude katastrofa ohromných rozmerov. Krajinu zrovná so zemou. Čo sa to chystá?

Toto bude katastrofa ohromných rozmerov. Krajinu zrovná so zemou. Čo sa to chystá?
Peter Minárik

Vyzerá to na najväčšiu prírodnú katastrofu roka, ktorá môže zničiť tisíce domov a pripraviť mnohých ľudí o strechu nad hlavou. Reč je o mimoriadne silnom hurikáne, ktorý mieri plnou silou na Jamajku a jej okolie. V článku rozoberáme, prečo je hurikán taký silný, prečo ide o najväčšiu katastrofu roka a aké nebezpečenstvá hrozia.

Nad Atlantickým oceánom sa sformoval najsilnejší hurikán roka, ktorý dosahuje ohromné rozmery a silu. Tento hurikán, žiaľ teraz mieri do husto obývaných oblastí, kde sa očakáva, že si vyžiada možno až tisícky obetí a mnoho ľudí pripraví o strechu nad hlavou.

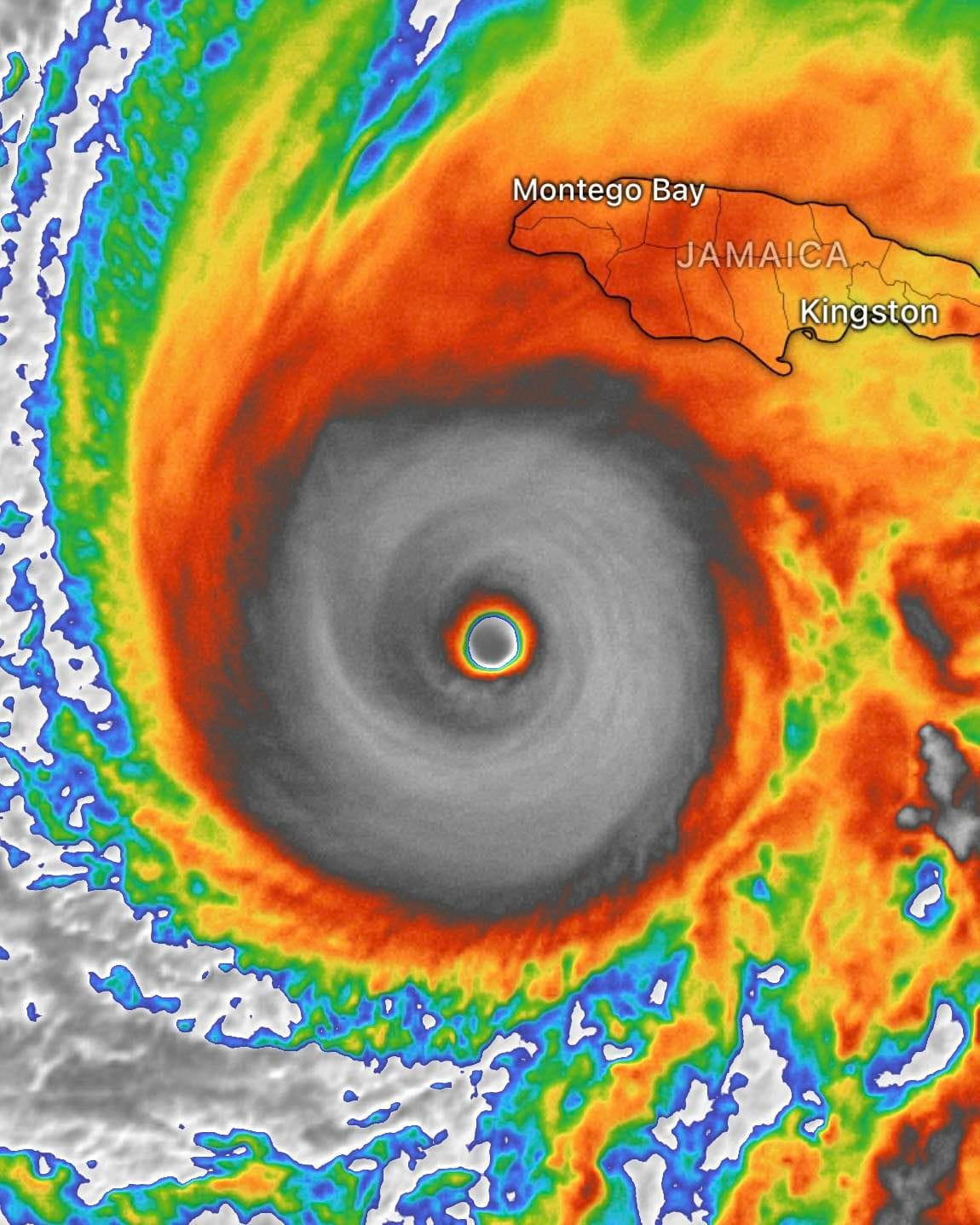
Najhoršia situácia sa očakáva na Jamajke, kde hurikán dorazí už dnes ráno. Ľudí už úrady evakuujú, no v ohrození sú aj ďalšie krajiny. Hrozí až 1000 mm zrážok a nárazy vetra s rýchlosťou 270 km/h.

 

Takáto sila sa nečakala

Hurikánová sezóna sa pomaly chýli ku koncu, ale teraz sa nám nad Atlantikom pomerne rýchlo sformoval extrémny hurikán Mellisa. Sezóna hurikánov sa vo väčšine Atlantiku chýli ku koncu, ale v Karibiku je bežné, že sa búrky ako Melissa, tvoria koncom októbra alebo v novembri.

Zatiaľ čo sa zvyšok Atlantiku ochladzuje, Karibik zostáva teplý. Jeho vody udržiavajú teplo až do jesene, čo poskytuje energiu potrebnú na vznik a zosilnenie hurikánov.

 

Teraz vznik hurikánu urýchlil vpád chladnejšieho vzduchu nad tieto teplé vody, čo zvýšilo odpar do atmosféry. Atmosféra je tak vysoko energická, čo sa prejavuje na prehlbovaní tlakových níží.

Hurikán je taký silný, že ohrozil aj let NOAA

Hurikány chodí skúmať špeciálne lietadlo NOAA, ktoré mapuje množstvo veličín, ktoré má pomôcť preskúmať viac podmienky v hurikáne pre jeho vedecké účely. Lietadlo NOAA však včera muselo prerušiť svoj prelet cez hurikán po tom, čo sa dostalo do tak silných turbulencií, že ohrozovalo aj samotné lietadlo.

 

Pripomíname, že toto lietadlo je špeciálne na tieto účely vybavené, no tlak v strede hurikánu 906 hPa a vietor s rýchlosťou 280 km/h nezvládlo ani toto lietadlo. Ešte pred prerušením misie sa však podarilo zachytiť fascinujúce video preletu okom hurikánu, keď bol ešte hurikán slabší.

Yaleova Universita v neskorých nočných hodinách informovala, že sa podarilo prostredníctvom sondy zaznamenať náraz vetra o sile až 388 km/h. Ak sa toto potvrdí, pôjde o jeden z najsilnejších nárazov, aký bol kedy v hurikáne zaznamenaný.

pohľad na hurikán
pohľad na hurikán, zdroj: Yale University

Bude to katastrofa roka

Hurikán dorazí na pobrežie Jamajky dnes dopoludnia nášho času. K pobrežiu Jamajky by nakoniec mohol prísť ako hurikán 5. kategórie. Následne zoslabne a prejde Kubou, pričom ohrozí aj Haiti.

trasovanie hurikánu
trasovanie hurikánu, zdroj: Mapbox
 


 

Jamajský premiér vyzval ľudí, aby sa ukryli a úrady už teraz evakuujú obyvateľov prímorských oblastí. Jamajský premiér Andrew Holness v pondelok vyjadril obavy, či infraštruktúra v niektorých častiach krajiny odolá sile hurikánu Melissa, ktorý sa rúti smerom ku karibskému ostrovu.

Holness povedal, že si nemyslí, že „v tomto regióne existuje akákoľvek infraštruktúra, ktorá by odolala búrke kategórie 5. Očakáva sa tak, že hurikán zničí celé mestá a obce a domy zrovná so zemou.

Jamajčania sa pripravujú na hurikán
Jamajčania sa pripravujú na hurikán, Octavio Jones

Jamajčania na celom ostrove sa pripravujú na najhorší hurikán, aký krajina kedy zažila.

 

Aj Kuba bude priamo zasiahnutá hurikánom Melissa a to pravdepodobne kategórie 3. Príchod sa očakáva v stredu ráno nášho času. V oblasti očakávajú rozsiahle povodne. Dážď totiž môže priniesť až 600 mm zrážok a ničivý vietor o sile 200 km/h. Kuba už evakuovala desiatky tisíc ľudí.

Predpoveď počasia
Viac
Dnes
Skoro jasno
18 °C / 1 °C
Branislav
Zajtra
Jasno
19 °C / 0 °C
Angela
Štvrtok
Skoro jasno, búrky
17 °C / 1 °C
Gregor
Piatok
Skoro jasno, prehánky
17 °C / 1 °C
Vlastimil
Sobota
Skoro jasno
17 °C / 0 °C
Matilda
Nedeľa
Polooblačno
18 °C / 1 °C
Svetlana
Stiahnite si našu novú aplikáciu o počasí Stiahnuť Pošlite nám svoje fotografie Napíšte nám na Whatsappe
Reklama MediaAd