VIDEO: Oko hurikánu práve postupuje Jamajkou a takto ju hurikán ničí. Začal však slabnúť

VIDEO: Oko hurikánu práve postupuje Jamajkou a takto ju hurikán ničí. Začal však slabnúť
Peter Minárik

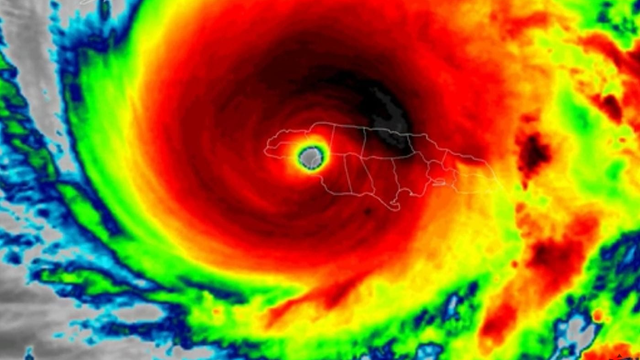
Pred dvoma hodinami začalo Jamajkou postupovať oko hurikánu Melissa, ktoré tu v týchto chvíľach pácha obrovské materiálne škody. Konečná spúšť však bude zrejmá až potom, ako skoro ráno nášho času oko hurikánu opustí Jamajku.

Stred hurikánu Melissa sa aktuálne nachádza priamo nad západnou Jamajkou a pohybuje sa rýchlosťou zhruba 8 km/h k severu. Hurikán v oblasti západnej Jamajky pácha obrovské materiálne škody.

Melissa však v týchto chvíľach začína slabnúť. Hurikán totiž interaguje s pevninou, je odrezaný od teplej vody ako paliva, ktoré potrebuje na udržanie plnej sily.

 

Zdá sa, že Melissa stráca časť sily, o čom svedčí dramatické zmenšovanie jej oka.

Jasné, takmer dokonale kruhové oko je znakom mimoriadne silného hurikánu. Melissa má stále oko, ale zmenšovanie a mierne zdeformovanie tohto kruhu naznačuje, že hurikán slabne.

 

Jamajka hlási už niekoľko obetí, stovky tisíc ľudí bez dodávok elektrickej energie a mnohé zaplavené oblasti. Presné škody však budú známe až o niekoľko hodín, ako oko opustí Jamajku a zamieri si to nad východnú Kubu.

Hurikán Melissa je zatiaľ tretím najsilnejším hurikánom v histórii. V oku hurikánu zaznamenali tlak 892 hPa. Nižší tlak, ktorý značí aj silnejšie poryvy vetra sa vyskytli len pri hurikáne Gilbert v roku 1988, kedy tlak dosiahol 888 hPa a Wilma v toku 2005, kedy tlak dosiahol 882 hPa.

Ako to aktuálne vyzerá na Jamajke môžete vidieť na živom streame:

Predpoveď počasia
Viac
Dnes
Skoro jasno
18 °C / 1 °C
Branislav
Zajtra
Jasno
19 °C / 0 °C
Angela
Štvrtok
Skoro jasno, búrky
17 °C / 1 °C
Gregor
Piatok
Skoro jasno, prehánky
17 °C / 1 °C
Vlastimil
Sobota
Skoro jasno
17 °C / 0 °C
Matilda
Nedeľa
Polooblačno
18 °C / 1 °C
Svetlana
Stiahnite si našu novú aplikáciu o počasí Stiahnuť Pošlite nám svoje fotografie Napíšte nám na Whatsappe
Reklama MediaAd